window._taboola = window._taboola || []; var taboola_id = 'mycodeimpremedia-network'; _taboola.push({article:'auto'}); !function (e, f, u, i) { if (!document.getElementById(i)){ e.async = 1; e.src = u; e.id = i; f.parentNode.insertBefore(e, f); } }(document.createElement('script'), document.getElementsByTagName('script')[0], '//cdn.taboola.com/libtrc/'+ taboola_id +'/loader.js', 'tb_loader_script'); if(window.performance && typeof window.performance.mark == 'function') {window.performance.mark('tbl_ic');}

Servicio Nacional de Meteorología lanza un mapa histórico del huracán María

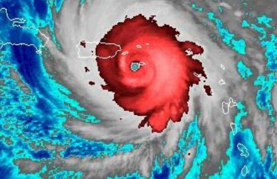
Imagen de satélite del huracán María antes de hacer su entrada en Puerto Rico.

Imagen de satélite del huracán María antes de hacer su entrada en Puerto Rico.  Crédito: (Captura / NOAA)

El Servicio Nacional de Meteorología (SNM) en San Juan conmemoró hoy el aniversario del azote del huracán María con un “mapa histórico” de lo que meteorológicamente sucedió el pasado 20 de septiembre de 2017.

El meteorólogo Gabriel Lojero, del SNM, indicó que en el sitio web que prepararon se puede conseguir información sobre la trayectoria, las pulgadas de lluvia registrada, y los lugares en los que ocurrieron derrumbes, entre otras cosas.

“El 20 de septiembre de 2017 el huracán María, un huracán de categoría 4, tocó tierra en el municipio de Yabucoa, Puerto Rico, con vientos máximos sostenidos de 155 millas por hora. El huracán María causó daños catastróficos generalizados y la pérdida de vida en Puerto Rico y Saint Croix, debido a la fuerte lluvia, fuertes vientos huracanados y marejada ciclónica”, dice en su inicio este mapa histórico.

Por ejemplo, en el sitio se detalla que en la Sierra de Cayey fue donde más lluvia se registró, con entre 35 a 40 pulgadas de lluvia, y que, en su arribo, el ciclón provocó una marejada ciclónica en Yabucoa de cerca de seis pies.

Según explicó el SNM en su página de Twitter, este esfuerzo informativo se realizó para “reflexionar sobre el primer aniversario del paso de María sobre el área local”.

Llega el polvo del Sahara

A un año de este trágico ciclón, la isla experimenta hoy un pulso “notable” de polvo del Sahara.

La condición atmosférica es tal que la visibilidad que se registra en el aeropuerto internacional Luis Muñoz Marín, en Carolina, es de seis millas. Esto significa que “está muy brumoso y no se puede ver sobrepasando seis millas”, explicó Lojero.

Pese a la presencia de este particulado y el aire seco que predomina, el SNM no descarta que esta tarde se formen aguaceros y tronadas en el noroeste de la isla.

Las temperaturas, entretanto, rondarán entre los altos 80 a 90 grados Fahrenheit.

Por otro lado, las condiciones marítimas están picadas. Se le exhorta tanto a los marineros como a los bañistas que tengan precaución.

Específicamente, se registran olas hasta seis pies y vientos de hasta 20 nudos.

En esta nota

Huracán María Servicio Nacional de Meteorología
Contenido Patrocinado