Dorian azota Bahamas: los récords que hacen al huracán que amenaza Florida uno de los “más intensos y catastróficos” desde que se tienen registros
El huracán, el más intenso que se ha formado en el mundo en lo que va de año, alcanzó el máximo en la categoría de Saffir-Simpson, (que llega hasta 5) este domingo, poco antes de impactar la isla Gran Ábaco
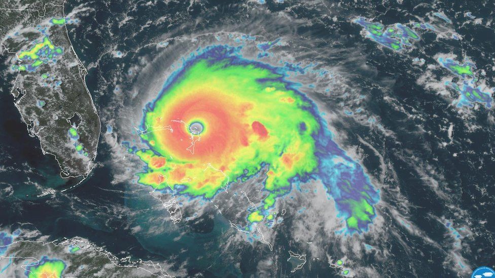
Dorian muestra un ojo bien definido, señal de su intensificación. Crédito: NOAA
Dorian envuelve a Bahamas con una estela terrible de destrucción.
El huracán, el más intenso que se ha formado en el mundo en lo que va de año, alcanzó el máximo en la categoría de Saffir-Simpson, (que llega hasta 5) este domingo, poco antes de impactar la islas Ábaco, en el noreste del archipiélago.
Pese a tocar tierra, el ciclón continúo intensificándose y la fuerza de sus vientos a las 21:00 GMT del domingo llegaban a los 297 km/h, según el Centro Nacional de Huracanes (CNH, por sus siglas en inglés) de Estados Unidos.
Dorian se estaba moviendo este lunes a una velocidad muy lenta: apenas 1,6 km/h,-casi el paso de una persona- lo que implica que sus potenciales daños serán mayores, dado que los fuertes vientos permanecerán sobre los mismos lugares por más tiempo.
Esto, según el CNH, puede conducir a una “destrucción extrema”.
Los meteorólogos han señalado que alguna de sus características lo ubican ya entre los más “más intensos y potencialmente catastróficos” desde que se tienen registros.
Y aunque no existe consenso entre los científicos si el rango de peores huracanes debe medirse por velocidad del viento, tamaño, cantidad de lluvia, presión barométrica, daños materiales o humanos, en términos técnicos, ya Dorian superó a algunas tormentas de otras temporadas.
En BBC Mundo te contamos algunos récords que ya marcó este ciclón.
El más intenso en tiempos modernos en tocar tierra en todo el Atlántico
Desde 1935, un ciclón estableció un récord que nunca más se había roto o empatado…hasta este domingo.
Ocurrió, casualmente, por estas fechas: se le conoce como el huracán del Labor Day(Día del Trabajo, Estados Unidos) por el día el que llegó a ese país.
El ciclón registró la mayor fuerza de sus vientos máximos sostenidos al tocar tierra: 295 km/h y desde entonces pasó a los libros de historia.
Ahora, Dorian lo ha empatado por primera vez en 84 años: cuando alcanzó la isla Gran Abaco en Bahamas tenía esa misma fuerza de vientos.
Dorian en las Bahamas! #bahamas #dorianhurricane pic.twitter.com/bGh8T2Z2nZ
— Eva (@EvaMaribel5) September 1, 2019
El más intenso en llegar al noroeste del Caribe
Antes de tocar tierra en Gran Abaco, Dorian también impactó Elbow Cay en Bahamas con vientos máximos sostenidos de 289 km/h.
Según el CNH, es la mayor fuerza que había alcanzado alguna tormenta antes de tocar el archipiélago en la historia moderna.
De hecho, nunca antes, desde que se tienen registros, un huracán categoría 5 había golpeado las islas Ábaco.
Las redes sociales de Bahamas, que no recibía un huracán desde 2017 cuando María e Irma dejaron daños menores, comenzaron a dar testimonio de los estragos.
El récord anterior para el noroeste del Caribe lo había dejado Irma, que golpeó Barbuda, San Martín y las Islas Vírgenes Británicas con vientos de 289 km/h.
Pero la fuerza de sus vientos también lo colocó en un lugar especial en libro de los récords.
Wow! Un clamor a la Torre Fuerte en medio de esa devastación, el único lugar seguro en esta Tierra.#Bahamas #Dorian #dorianhurricane #PRAYERSFORTHEBAHAMAS #Pray pic.twitter.com/0yaznQndli
— Yaritza Gómez García (@YaritzaGomez11) September 2, 2019
Una energía descomunal
Los huracanes a su paso generan más energía que cientos de bombas atómicas juntas: es lo que se conoce como Energía Ciclónica Acumulada (ECA) y es uno de los índices que tienen en cuenta los científicos para estimar el posible impacto de las tormentas.
Al final de cada temporada, los expertos también suman los registros de cada ciclón para estimar la cantidad de energía que generaron.
Pero Dorian, hasta este domingo, había generado más ECA que todos los ciclones que se formaron durante toda la temporada de huracanes del Atlántico de 1983.
Y según el meteorólogo Philip Klotzbach, de la Universidad Estatal de Colorado, superará también a la cantidad que se generó durante la temporada de huracanes del Atlántico de 1977 antes del martes.
Entre los peores desde 1980
Cuando el avión de reconocimiento detectó en la tarde del domingo la intensidad de los vientos alrededor del ojo de Dorian rondaban casi los 300 km/h.
Esto no solo lo convirtió en el huracán más intenso en el Atlántico desde 1980, sino también en el segundo con mayor fuerza de sus vientos desde que se tienen registros, junto a Gilbert, en 1988 y Wilma (2005), que también llegaron a los 297 km/h.
El huracán Allen, que tocó tierra cerca de la frontera entre Estados Unidos con México en 1980, tiene el récord de vientos máximos sostenidos: 305 km/h.
Pero no queda ahí: los vientos de Dorian son los más fuertes jamás observados hasta ahora en al este de Florida, en el norte del Océano Atlántico, según Klotzbach.
https://twitter.com/smilenio2/status/1168266026653560838?s=20
Otro récord de presión
Para los que siguen la meteorología, la presión central de los ciclones es uno de los datos más interesantes que puede ofrecer cualquier medición.
Y es que en el ojo de la tormenta, la presión atmosférica suele ser menor que en el resto del planeta, pero mientras más baja sea, mayor será su intensidad.
Esto se debe a que a menor presión, mayor serán las fuerzas de los vientos.

Dorian ya también se encuentra en la lista de los huracanes que han tocado tierra con menor presión atmosférica desde que se tiene registro.
Cuando golpeó Bahamas este domingo, su presión central ascendió a 910 hectopascales, una cifra menor incluso que la que tenía el huracán Andrew cuando devastó Florida en 1992.
El huracán del Labor Day de 1935 ostenta, sin embargo, el récord máximo de presión al tocar tierra: 892 hectopascales.
- Trump sobre huracán Dorian: “No sabemos lo que se nos viene”
- Pilotos de NOAA se meten al “ojo del huracán” Dorian y esto fue lo que encontraron…
Ahora puedes recibir notificaciones de BBC Mundo. Descarga la nueva versión de nuestra app y actívalas para no perderte nuestro mejor contenido.